综合概述
ATH9010YS系列无人机高光谱罂粟探查系统,是奥谱天成推出的第三代无人机高光谱成像仪,它是一系列体积小、重量轻的无人机载微型高光谱成像仪,由垂直起降固定翼无人机、高稳定性云台、高光谱成像仪、大容量存储系统、无线图像系统、GPS导航系统、地面接收工作站、地面控制系统、地面高光谱数据处理系统等组成。
ATH9010YS最高每天可探查100平方公里内的罂粟种植情况。ATH9010YS系列还赠送高性能高光谱数据采集和处理软件,数据导入后,直接输出罂粟种植区域及其GPS坐标。
产品特征
l 采用高光谱数据,**的罂粟探查手段
l 高光谱数据,准确率更高,筛查率>90%
l 垂直起降固定翼无人机,飞行时间>2小时
l 探查面积:20∽100平方公里/天
l 空间分辨率:5∽20 cm
l 飞行高度:100~500米,推荐100m
l I7板载计算机,**支持2T存储,最多可存储100小时成像数据
产品应用
l 非法种植罂粟的探查
1.罂粟探查的重要性
罂粟作为毒品原植物,在我国严禁非法种植,《中华人民共和国治安管理处罚法》第七十一条、《中华人民共和国刑法》第三百五十一条均对非法种植罂粟原植物做出了明确的定罪量刑标准:种植500株以上者,属于刑事犯罪。
在长期禁毒执法高压态势下,罂粟大面积非法种植已被有效遏制,但乡村零星种植仍时有发生,公安部门的禁毒、执法工作量较大。尤其是种植在山区的罂粟,探查难度极大。

2.技术原理
由于罂粟的花朵形状独特、色彩艳丽,15天左右的花期是罂粟巡查、铲除的黄金时期。传统的人工踏勘、无人机视频巡查、无人机遥感解译等技术手段在精度、效率等方面较难满足“转瞬即逝”的窗口期。

ATH9010YS是为罂粟探查而专门设计的高光谱系统,高光谱数据是三维立体数据,含有丰富的光谱信息,罂粟花和植物,均有着明显的光谱特征。因此,在高光谱眼里,罂粟无处可逃。

图1 高光谱数据的原理
可以说,高光谱是目前探查罂粟的**技术手段。

图2高光谱探查罂粟的技术原理
3.飞行数据样例

图3ATH9010YS无人机高光谱飞行示意图

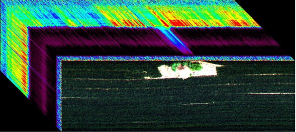
图4ATH9010YS无人机高光谱飞行的数据图(飞行地点:福建省厦门市集美区中国科学院稀土材料研究所地块,飞行高度:100m;航速:6m/s,风速:3级)

图5图6ATH9010YS无人机高光谱的数据反演结果(飞行地点:福建省厦门市集美区中国科学院稀土材料研究所地块,飞行高度:100m;航速:6m/s,风速:3级)


4.订购指南
型号 | 特征 |
ATH9010YS | 标准配置型 |
5.配件清单
序号 | 物品 | 数量 | 选配 |
1 | 高光谱成像仪(400-1000nm)主机 | 1台 | 标配 |
2 | 垂直起降固定翼无人机 | 1台 | 标配 |
3 | 高可靠性减震云台 | 1个 | 标配 |
4 | 机载数据采集与大容量数据存储系统 | 1台 | 标配 |
5 | 电池组 | 1块 | 标配 |
6 | 物镜 | 1套 | 标配 |
7 | 高光谱罂粟探查软件系统 | 1套 | 标配 |
8 | 50cm直径的95%野外校准白板 | 1个 | 标配 |
选配件 | |||
9 | 高精度室内扫描云台 | 1 套 | 选配 |
10 | 高蓝稳流卤素灯 | 4 个 | 选配 |
11 | 标准校准板 | 1 块 | 选配 |
12 | 原厂进口野外专用校准布(1.2m×1.2m) | 1 个 | 选配 |
13 | 360 度野外旋转平台 | 1个 | 选配 |
14 | 三脚架 | 1个 | 选配 |
15 | 野外专用大容量锂电池 | 2块 | 选配 |
16 | 测量暗室 | 1 个 | 选配 |
17 | 野外便携式运输箱 | 1 个 | 选配 |
18 | 推扫装置 | 1台 | 选配 |
6.奥谱天成“无忧飞行管家”服务

7.无人机高光谱成像仪实物图例





图8无人机载高光谱罂粟探查系统